

The Central District’s Black Walnut is in a perfect position to be saved — we just need to ask SDCI to honor their own approved permit.
This tree is 30 years old, and sprouted in the mid-1990s after a squirrel planted its seed as food for winter. A long-time neighbor of this tree carefully watered and tended to this tree, for it to grow into the beautiful 40-foot tall tree it is today.

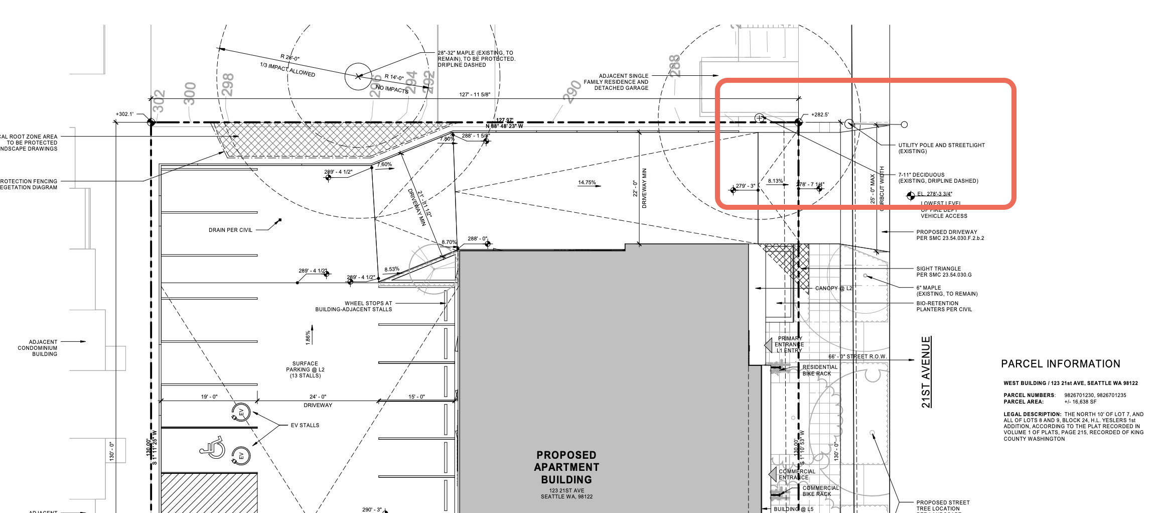
The Low Income Housing Institute (LIHI) is building a neighboring property to develop an apartment complex, fit with parking and a small commercial space. However, by virtue of adding this commercial space, the residence goes from a 10-foot driveway to a 22-foot driveway, endangering the root system of the Central District Black Walnut. Even just reducing the driveway by a few feet, to 17 feet, would support this tree.
A certified arborist believes the Black Walnut has cleverly grown its roots on the east-west axis, which means LIHI can build very close to the tree without risking damage to it. Including the tree has already been approved as the final plan in Permit 6846326-CN. Of the permit’s 19 final site drawings, 16 shows the tree as part of the final project. Inexplicably, 3 show the driveway so close to the tree that it would be destroyed. SDCI honoring LIHI’s request for a slightly narrower driveway would correct the errors in the plan.


LIHI’s advertisements even show this tree being kept. Clearly, they want the tree to be retained, just like we do!

This black walnut will be one of the few remaining trees on this block, in a neighborhood with a diminishing tree canopy that dates back to redlining and disinvestment. This tree:
Although the permit for this project has already been issued, we are asking SDCI to allow LIHI to request a post-permit revision, at no cost, so they can slightly narrow the driveway to save this tree. Take 30 seconds to email SDCI. Use this mailto link, or copy the below text. Please personalize this email to make it more effective!
To: Brooke Belman (brooke.belman@seattle.gov), Christina Postlewait (christina.postlewait@seattle.gov), and Joy Hollingsworth (joy.hollingsworth@seattle.gov)
Subject: Please save the Central District Black Walnut
Dear Director Belman, Ms. Postelwait and CM Hollingsworth,
I am reaching out to ask you to protect the black walnut just north of the Low Income Housing Institute (LIHI) project at 123 21st Avenue.
This tree is shown on the final plan set 6846326-CN as protected. However the wide driveway contradicts the permit and threatens its survival. Two certified arborists have verified that a slightly narrower driveway would allow this tree to grow for decades into the future. Please allow LIHI to request a post-permit revision, at no cost, to correct SDCI’s error and allow for a narrower driveway.
Current and future residents need the shade and health benefits this black walnut provides. Please work with LIHI to save the Central District Black Walnut.
Sincerely,
<Your Name>
